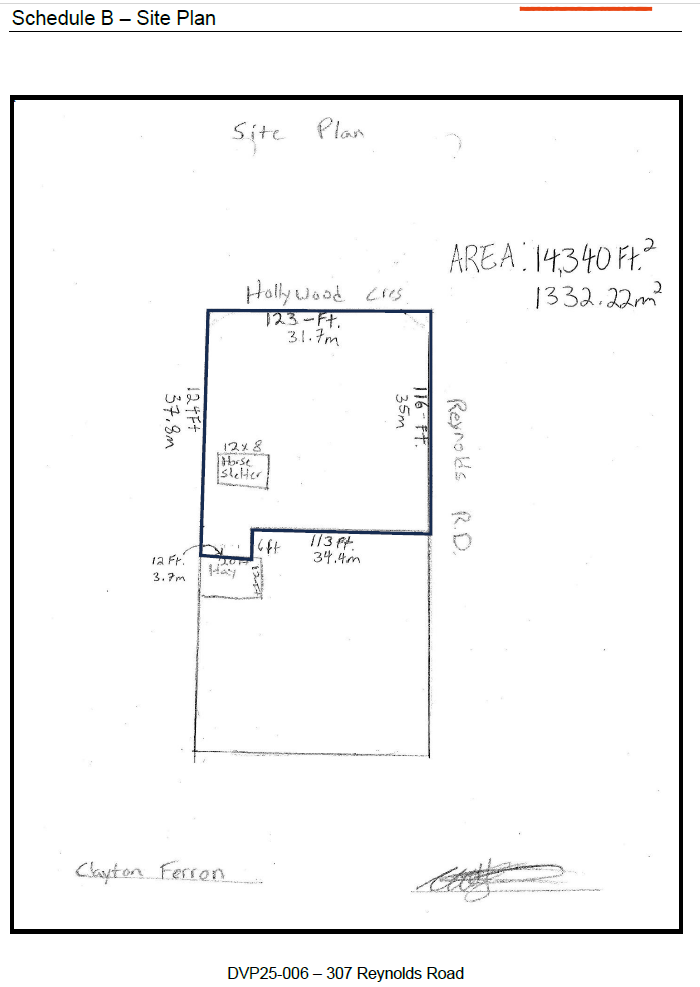
Accepting Public Feedback: Variance Permit DVP25-006 - Horses at 307 Reynolds Rd

The District of Lillooet has received an application from the owners of 307 Reynolds Road to consider a variance of the Animal Control Bylaw No. 2025-027. The requested variance is:

To vary the minimum parcel size to have two livestock (horses), as prescribed in the table of Section 51 of the Animal Control Bylaw No. 2025-027, from a 0.4 ha to a 0.25 ha.

Municipal Council will consider this application at their Regular Meeting held in Room 201 of the REC Centre at 930 Main Street, Lillooet, B.C., on Tuesday, February 3, 2026 commencing at 5:00 p.m.

A copy of the Council Meeting Agenda will be available for viewing at www.lillooet.ca by 4 pm the preceding Friday (check News section of lillooet.ca). The proposed permit and supporting documentation may be inspected at the Development Services Department located at 615 Main Street between 8:30am to 12:00pm and 1:00pm to 4:30pm, Monday to Friday, excluding holidays, up to and including February 3, 2026.

Any person whose property may be affected by this proposed Development Variance Permit may appear in person, or by agent, at the Council meeting.  Written submissions may be delivered to the District of Lillooet Municipal Office or emailed to planning@lillooet.ca. All submissions must be received by 4:00 pm February 3, 2026 or presented in person at the meeting to be considered by Council. The District may not consider comments received after this date. Be advised that any response to this notice will be considered part of the public record. For information, contact the Freedom of Information advisor at the District of Lillooet.

If you have any questions regarding the proposal, please do not hesitate to contact Kayvon Bahrami, Planning Technician and Clerk, at 250-256-4289 or kbahrami@lillooet.ca

Previous
Previous

FireSmart Community Event - February 28, 2026

Next
Next

New Zoning Bylaw 2025-026: Adopted